ومن المنتظر أن تهطل أمطار غزيرة بصورة غير عادية تصل إلى 35 بوصة (89 سنتيمترا) في جنوب غرب هايتي.
وأسفرت العاصفة بطيئة الحركة وغير المستقرة حتى الآن عن مقتل ثلاثة أشخاص في هايتي وشخص رابع في جمهورية الدومينيكان، حيث لا يزال شخص آخر مفقودا.
كما توقع المركز الوطني الأميركي للأعاصير أن تهطل أمطار تصل إلى 25 بوصة (64 سنتيمترا) في جامايكا والمناطق الجنوبية من هايتي وجمهورية الدومينيكان حتى يوم الاثنين، مع احتمال وصول كمية الأمطار إلى 35 بوصة (89 سنتيمترا) في شبه جزيرة تيبورون الهايتية.
وقال جيمي روم، نائب مدير المركز: “إذا هطلت تلك الكميات من الأمطار، فسنكون أمام احتمال حدوث فيضانات كارثية”.
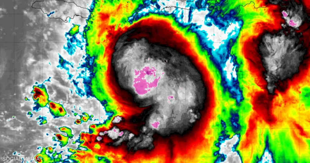
وأضاف المركز أن العاصفة ميليسا كانت تتمركز على بعد نحو 160 ميلا (260 كيلومترا) جنوب شرق كينغستون في جامايكا، وحوالي 235 ميلا (375 كيلومترا) جنوب غرب بور أو برنس في هايتي، وكانت رياحها القصوى المستمرة تبلغ 70 ميلا في الساعة (110 كيلومترات في الساعة)، بينما تتحرك ببطء نحو الغرب الشمالي الغربي بسرعة ميل واحد في الساعة (3 كيلومترات في الساعة).
وتابع المركز في بيانه: “من المتوقع أن تبدأ عملية الاشتداد السريع خلال الساعات الأربع والعشرين المقبلة، ومن المرجح أن تتحول ميليسا إلى إعصار قريبا، وإلى إعصار كبير بحلول يوم الأحد”.
